Zapamiętane 3 razy
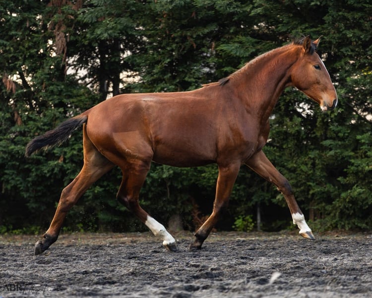
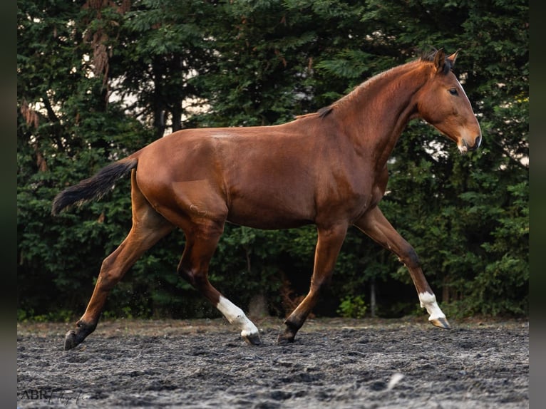
Big moving piro free Lusitano colt
20.000 € do 40.000 €
~92.084 zł do 184.161 zł
ID ogłoszenia: 4694629
Typ ogłoszenia: Koń na sprzedaż
Data wstawienia: 05.12.2025
Wyświetlenia reklamy: 2684
Wiadomość
Zainteresowany/a – kontakt
Zapisz
Opis
Niemiecki
-
Hiszpański
-
Włoski
-
Angielski
-
Holenderski
-
Francuski
-
Niemiecki
-
Polski
A Lusitano moving like a Warmblood 😎💥 You want a Lusitano stallion with big movements? Here he is. With just 1 year and 8 months does he present himself already like a superstar. He already has 158cm and his movements are something different. I don’t know any other Lusitano with a big canter like his, a big elastic trot with amplitude and a big walk. His father is Nadal HS who is competing in U25 GP and soon in the big tour. His mother is Lisboa DR, with Hostil as grandfather. A spectacular young stallion with a big future ahead. Take your chance and ask for a video. Located in Portugal 🇵🇹 More informations over PM or WhatsApp 0049178699734. Jasmin from Top-Lusitanos 🤗
Ten tekst został przetłumaczony automatycznie.
Un Lusitano que se mueve como un Warmblood 😎💥 ¿Buscas un semental Lusitano con movimientos amplios? Aquí lo tienes. Con apenas 1 año y 8 meses, ya se presenta como una verdadera estrella. Ya mide 158 cm y sus movimientos son algo único. No conozco otro Lusitano con un galope tan grande, un trote elástico y amplio, con amplitud, y un paso grande. Su padre es Nadal HS, que compite en GP U25 y pronto en la Gran Especialidad. Su madre es Lisboa DR, con Hostil como abuelo. Un semental joven espectacular con un gran futuro por delante. Aprovecha la oportunidad y solicita un video. Ubicado en Portugal 🇵🇹 Más información por privado o WhatsApp: 0049178699734. Jasmin de Top-Lusitanos 🤗
Więcej informacji
Top-Lusitanos is a big network in Spain and Portugal (Brazil) to find the best iberian horses for our clients. We are a team of passionate horse people, riders and breeders. We have over 100 PRE and Lusitanos in our sales program. From the just born foal until the fully trained GP horse. We are selling horses all over the world. We have clients in US, Mexico, Canada, UK and Europe, Asia (Singapur and Thailand), Australia and New Zealand. We organise everything and giving our clients full service.
Skontaktuj się ze sprzedawcą
* Pola wymagane
Wyślij wiadomość
Więcej ogłoszeń tego ogłoszeniodawcy
Wiadomość
