
Zapamiętane 0 razy
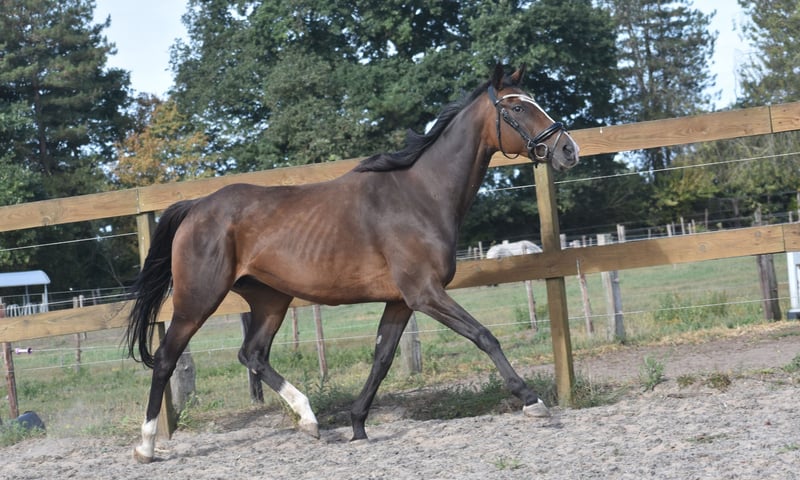
Eyecatcher: correct, goudeerlijk 9 jarige rijpaard
5.950 €
~ 27.394 zł do negocjacji
ID ogłoszenia: 4630295
Typ ogłoszenia: Koń na sprzedaż
Data wstawienia: 01.10.2025
Wyświetlenia reklamy: 108
Wiadomość
Zainteresowany/a – kontakt
Zapamiętaj
9 lat
162 cm
Ujeżdżenie
z umową ochronną
jest sprzedawany ze sprzętem
dostępny TÜV
dostępny paszport
Opis
Holenderski
- Niemiecki
- Włoski
- Polski
- Angielski
- Hiszpański
- Francuski
- Holenderski
Paddy is een 9 jarige dame van ca. 1.62m hoog, met een afstamming van Leading Light x Caoba by Hernando ( FR) Ze heeft een chique, maar toch degelijke bouw met mooie lange benen en laat zich hier fijn rijden. Paddy is allesbehalve lui en ze werkt graag voor haar ruiter. Daarbij heeft ze een zacht mondje en reageert ze fijn op de hulpen. Een zware hand is bij haar absoluut niet nodig. In bezit van zeer recent keuringsrapport inclusief bloedafname. Paddy is verkeersmak, gezond en vrij van gebreken. Voor de fokkerij is ze eveneens zeer interessant! Prijs € 5950,- incl merkzadel. Het reserveren van dit paardje is wellicht mogelijk, kijkt u even op onze website? Paard op afbetaling kopen Het is nu mogelijk je paard(je)op basis van deel termijnen te kopen bij Stal Doorstap. Voorwaarde is dat het paard de periode van financiering op het terrein van Stal Doorstap blijft. Uiteraard kun jij dan van de hele accommodatie gebruik maken met het paard. De kosten voor het paard komen voor je rekening, evenals de afbetaling. Het is niet mogelijk de deelbetalingen terug te ontvangen. Denk er dus wel goed over na.

Strona: stal-doorstap
Skontaktuj się ze sprzedawcą
* Te pola muszą zostać wypełnione
Wyślij wiadomość
Więcej ogłoszeń tego ogłoszeniodawcy
Wiadomość
Copyright 1999-2025 • ehorses GmbH & Co. KG • ehorses.pl - dla osób prywatnych i firm.
Kupuj konie i sprzedawaj konie
Kupuj konie i sprzedawaj konie